Hurricane Melissa is set to trigger a $150 million Jamaica catastrophe bond designed to fund rebuilding efforts in the wake of the storm’s devastation across the island. This full trigger event means Jamaica catastrophe bondholders now face full payout, providing critical financial relief to the government that took out an insurance policy for itself years ago. As losses mount, the catastrophe underscores evolving risks in disaster finance, with early assessments pointing to significant reinsurance involvement.
Hurricane Melissa’s Path and Initial Damage Assessment
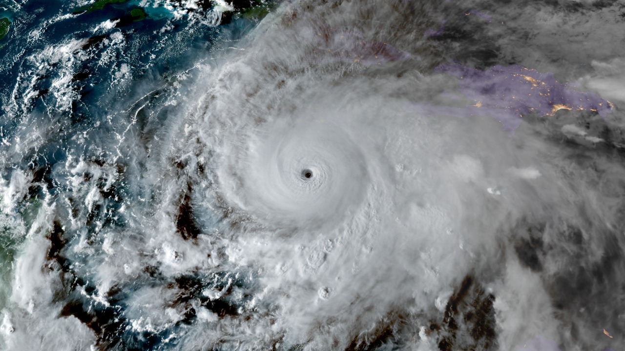
Hurricane Melissa made landfall in Jamaica on October 28, 2025, escalating to a full trigger event for parametric bonds based on wind speeds and rainfall thresholds. The storm’s intensity met the criteria necessary to activate the bond, which was designed to provide immediate financial support for disaster recovery. According to AM Best, the losses from Hurricane Melissa in Jamaica are likely to fall primarily to reinsurers, marking a shift from initial local insurer projections.
The financial impact of Hurricane Melissa is substantial, with BMS suggesting that total insured losses could exceed $5 billion. This figure surpasses previous hurricane benchmarks for the region, signaling heightened exposure and vulnerability to such natural disasters. The scale of the damage highlights the increasing importance of innovative financial instruments like catastrophe bonds in managing disaster-related risks.
Mechanics of the Jamaica Catastrophe Bond Payout
Jamaica structured its catastrophe bond as an insurance policy for itself, issued in 2020 to cover tropical cyclone risks. The parameters of Hurricane Melissa have ensured that the $150 million payout is activated for reconstruction efforts. The timeline from preliminary warnings on October 28 to confirmation of the full trigger by October 30 illustrates how bondholders’ exposure has intensified compared to earlier risk models. This rapid response mechanism contrasts with traditional insurance delays, providing Jamaica’s government with immediate funds to rebuild infrastructure.
The payout process is designed to deliver proceeds directly to the Jamaican government, enabling swift reconstruction efforts. This approach offers a significant advantage over conventional insurance, which often involves lengthy claims processes. By securing funds quickly, Jamaica can address urgent infrastructure needs and support communities affected by the hurricane. The success of this bond could serve as a model for other nations vulnerable to natural disasters, demonstrating the potential benefits of parametric insurance solutions.
Reinsurance Fallout and Future Policy Innovations
Reinsurers are expected to absorb the bulk of claims from Hurricane Melissa, with the $5 billion-plus estimate from BMS pressuring global capacity more than anticipated in pre-storm forecasts. This situation underscores the critical role of reinsurance in managing large-scale disaster risks and highlights the need for continued innovation in the sector. The financial strain on reinsurers may prompt a reevaluation of risk models and coverage strategies to better align with emerging climate patterns.
The full trigger event has significant implications for stakeholders, including investor losses and Jamaica’s gain in swift funding. This scenario could inspire other vulnerable nations to adopt similar financial instruments, leveraging catastrophe bonds to secure rapid post-disaster funding. Additionally, the Jamaica hurricane could spur the introduction of disaster ‘pause clauses’ in future cat bonds, aiming to mitigate premature triggers amid climate uncertainties.
More From TheDailyOverview
- Dave Ramsey warns to stop 401(k) contributions
- 11 night jobs you can do from home (not exciting but steady)
- Small U.S. cities ready to boom next
- 19 things boomers should never sell no matter what

Elias Broderick specializes in residential and commercial real estate, with a focus on market cycles, property fundamentals, and investment strategy. His writing translates complex housing and development trends into clear insights for both new and experienced investors. At The Daily Overview, Elias explores how real estate fits into long-term wealth planning.


